Refine Search

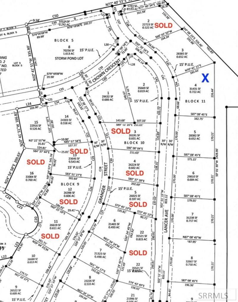
3083 Lancer Ave, Ammon, ID 83406

$149,000
  • 3083 Lancer Ave, Ammon, ID 83406 Main Photo

5 Total Photos [Click to View All]

Active
LOT SIZE 0.720 acres MLS#2177696
STATUSActive PROPERTY TYPELand - Residential SUBDIVISIONHAWKS LANDING-BON

Property Description

Find your ideal home site in the sought-after Hawks Landing neighborhood, now in its exciting NEW phase! Enjoy stunning views of Idaho Falls and breathtaking sunsets. The community is perfect for outdoor living, featuring scenic walking paths and a spacious park for family activities. With an HOA fee of just $50 per month, youll benefit from well-maintained common areas. The sewer, water, and garbage services are bundled into one convenient bill with the City of Ammon. High-speed Ammon Fiber internet is available to the lot as well! **Note:** Please exercise caution when accessing the lot due to ongoing road construction. The borders shown in listing photos are approximate. Dirt has been moved on the lot, so ensure its properly compacted for building. *Buyer to verify all information provided.

3083 Lancer Ave | MLS# 2177696

This land located at 3083 Lancer Ave, Ammon, ID 83406 is currently listed for sale with an asking price of $149,000. The property has approximately 0.72 Acres. Search Ammon real estate on www.cbidahofalls.com today.

Property Features

Property Type: Land - Residential
Lot Size: 0.72 Acres
Taxes: $114

Feature Descriptions

Days on Site: 253
Parcel #: RPB3225011004O
Sewer: Public Sewer
Water: Public

Local Schools

High School: THUNDER RIDGE-D93
Middle School: Black Canyon M.S.
Elementary School: RIMROCK

Listed By / Shown By

Listed By

Agency Name: Keller Williams Realty East Idaho
Agency Phone: 2085298888

Shown By

Agency Title: Coldwell Banker Tomlinson
Agency Phone: (208) 243-7334

IDX logo

Estimate Your Payment

Estimated Payment

$ 384.57 per month $331.61 Principal & Interest $9.50 Property Tax $43.46 Homeowner's Insurance

Change Payment Information

%
years/fixed
yearly
yearly (est.)
(Payments are an estimate and may vary by lender)

Login to My Homefinder

Pixel