Refine Search

5527 Malheur River St, Ammon, ID 83406

$141,000
  • 5527 Malheur River St, Ammon, ID 83406 Main Photo

1 Total Photos [Click to View All]

Active
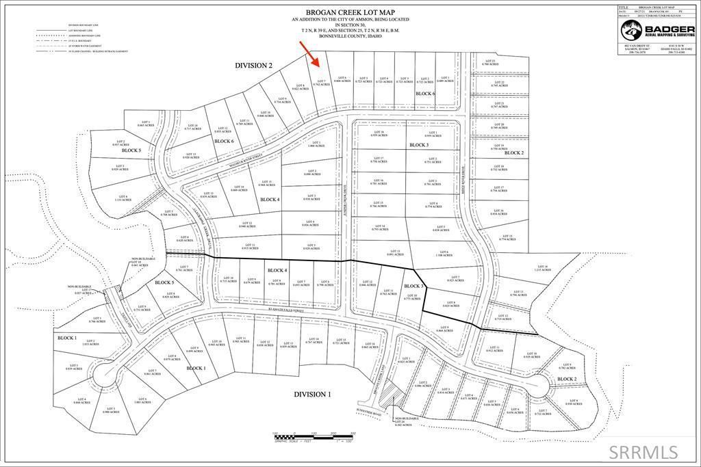
LOT SIZE 0.762 acres MLS#2150953
STATUSActive PROPERTY TYPELand - Residential SUBDIVISIONBrogan Creek

Property Description

Looking for a Prime Residential Lot to build your DREAM HOME on? Look no more! The NEW Brogan Creek Subdivision offers large lots and a convenient location.

5527 Malheur River St | MLS# 2150953

This land located at 5527 Malheur River St, Ammon, ID 83406 is currently listed for sale with an asking price of $141,000. The property has approximately 0.76 Acres. Search Ammon real estate on www.cbidahofalls.com today.

Property Features

Property Type: Land - Residential
Lot Size: 0.76 Acres
Taxes: $0

Feature Descriptions

Sewer: Public Sewer
Water: Public

Local Schools

High School: THUNDER RIDGE-D93
Middle School: Black Canyon M.S.
Elementary School: RIMROCK

Listed By / Shown By

Listed By

Agency Name: Keller Williams Realty East Idaho
Agency Phone: 2085298888

Shown By

Agency Title: Coldwell Banker Tomlinson
Agency Phone: (208) 243-7334

IDX logo

Estimate Your Payment

Estimated Payment

$ 354.93 per month $313.80 Principal & Interest $0.00 Property Tax (data not provided by mls) $41.13 Homeowner's Insurance

Change Payment Information

%
years/fixed
yearly
yearly (est.)
(Payments are an estimate and may vary by lender)

Login to My Homefinder

Pixel