Tbd N 1100 W, Lot #Lot C, Blackfoot, ID 83221

$75,000
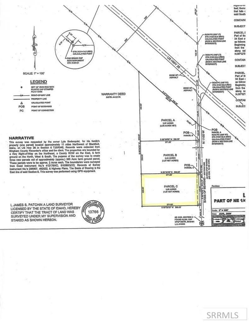
  • Tbd N 1100 W, Lot #Lot C, Blackfoot, ID 83221 Main Photo

2 Total Photos [Click to View All]

Active
LOT SIZE 2.000 acres MLS#2170824
STATUSActive PROPERTY TYPELand - Residential SUBDIVISIONNONE

Property Description

Get ready for some breathtaking views, sunsets and sunrises! This great country lot is perfect for INL workers or anyone who wants to get away from town living. There are no CC&Rs on the property, but seller will have a deed restriction stating that all homes must be a double section manufactured home on a foundation or better. Part of the acreage is in the flood zone so it is recommended that buyers have an Elevation Certificate done on the property so that their home can be placed or built on the areas that are not flood zone impacted. It is also recommended that buyers have a PERC Test done to ensure placement of a septic system works for your build specifications. Seller states that the lower land often has grass growing on it, which would be good for livestock. This is a recent division, so property taxes have not been determined yet.

Tbd N 1100 W, Unit Lot C | MLS# 2170824

This land located at Tbd N 1100 W, Unit Lot C, Blackfoot, ID 83221 is currently listed for sale with an asking price of $75,000. The property has approximately 2.00 Acres. Search Blackfoot real estate on www.cbidahofalls.com today.

Property Features

Property Type: Land - Residential
Lot Size: 2.00 Acres
Taxes: $0

Feature Descriptions

Days on Site: 524
Flood Plain: Yes
Parcel #: TBD
Sewer: None
Special View Info: Mountain(s)
Topography: Rural, Sloped
Water: None

Local Schools

High School: SNAKE RIVER 52HS
Middle School: SNAKE RIVER 52JH
Elementary School: MORELAND 52EL

Listed By / Shown By

Listed By

Agency Name: Real Estate Pros LLC
Agency Phone: 2087857555

Shown By

Agency Title: Coldwell Banker Tomlinson
Agency Phone: (208) 243-7334

IDX logo

Estimate Your Payment

Estimated Payment

$ 188.79 per month $166.92 Principal & Interest $0.00 Property Tax (data not provided by mls) $21.88 Homeowner's Insurance

Change Payment Information

%
years/fixed
yearly
yearly (est.)
(Payments are an estimate and may vary by lender)

Login to My Homefinder

Pixel